Vente Terrain BREZINS
65 000 € * - Réf. 1653

Vente Terrain
BREZINS
65 000 € *
Prix : 65 000 € *
* Les honoraires d'agence seront intégralement à la charge du vendeur

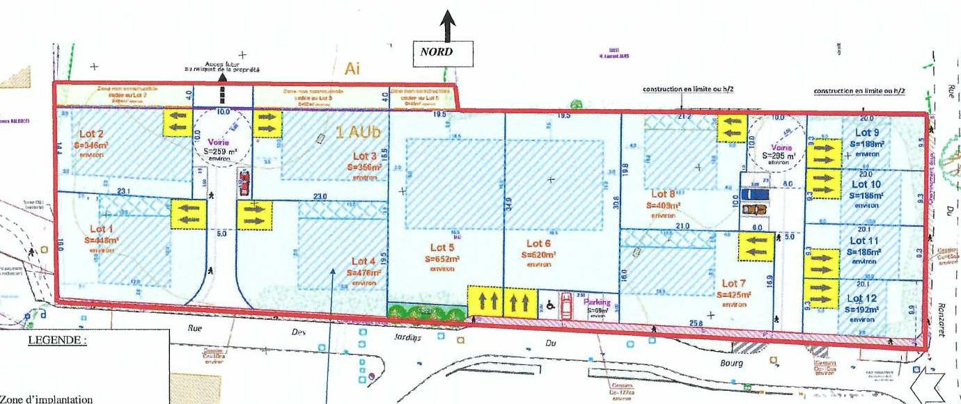
LOTISSEMENT "LES JARDINS D'EMERAUDE" - BREZINS

Installez-vous au calme de la campagne, proche de toutes les commodités (commerces, écoles) et à 10 minutes de l'axe autoroutier Lyon - Grenoble.

Lotissement de 12 jolies parcelles, dont 3 restent disponibles !

A partir de 65 000€.
Votre conseiller pour ce bien :
Paola Godefroy
0789806332
pgo.ecimmobilier@gmail.com
  • Référence : 1653
  • Ville : BREZINS
  • Transaction : Vente
  • Type de bien : Terrain
  • Prix de vente : 65 000 €
  • Terrain : 409 m2
%
%

Vos mensualités

*apport calculé sur une base de 20%

Informations non contractuelles, fournies à titre indicatif
38 - Isère
Montant En % du prix du bien
Emoluments notaire %
Copies & formalités notaire 800 %
Total notaire %
Droits de mutation 5.80%
Publicité foncière 0.10%
Debours 400 %
TVA (sur part notaire) %
Total %
Informations non contractuelles, fournies à titre indicatif
Contactez-nous
* champs obligatoires
Biens similaires
Promesse de vente
75 000 € *
TERRAINS à bâtir

Sur la commune de Le Mottier, commune à 20 minutes de Bourgoin-Jallieu. 4 terrains à bâtir de 703 m² à 767m² , plats, bonne exposition, viabilisés en bordure, dont assainissement collectif. Libres de constructeur. A partir de 75...
  • Surface terrain
    767 m2
75 000 € *
* Les honoraires d'agence seront intégralement à la charge du vendeur
Réf. 1584
75 000 € *
Sur la commune de Faramans, commune dynamique avec écoles et commerces, nouveau lotissement composé de 7 parcelles viabilisées de 605m² à 953m², libres de constructeur. Très jolie vue dégagée, sur un secteur au calme. Lot n° 2 de 655m². 75 000 €
  • Surface terrain
    655 m2
  • Nbr de pièces
    1
75 000 € *
* Les honoraires d'agence seront intégralement à la charge du vendeur
  • 1 Pièce
Réf. LOT 2
Exclusivité
Promesse de vente
55 000 € *
*** SOUS PROMESSE DE VENTE ***

Sur la commune de Pommier de Beaurepaire, dernière parcelle à saisir ! Terrain viablisé d'une surface de 609m².
Environnement calme et verdoyant. A 2 minutes à pied des écoles.
Libre de constructeur et en exclu...
  • Surface terrain
    609 m2
55 000 € *
* Les honoraires d'agence seront intégralement à la charge du vendeur
Réf. 1516
Espace Cotois Immobilier

66 rue de la République - 38260 LA COTE SAINT ANDRE

Voir le téléphone
Nous contacter

Nous suivre sur les réseaux sociaux :

  • Alerte email
  • Favoris 0
  • 0